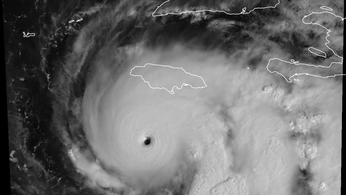
El huracán Melissa alcanzó este lunes la categoría 5, el nivel máximo en la escala Saffir-Simpson, según informó el Centro Nacional de Huracanes (NHC) de Estados Unidos. El fenómeno, que avanza lentamente sobre el mar Caribe, ha sido calificado como “catastrófico” debido a su intensidad y a las inundaciones y marejadas ciclónicas que ya comienzan a afectar a Jamaica, Haití y República Dominicana.
De acuerdo con el NHC, Melissa registra vientos sostenidos superiores a los 250 kilómetros por hora, con desplazamiento de apenas siete kilómetros por hora, una velocidad que agrava los efectos de las lluvias prolongadas y aumenta el riesgo de deslizamientos de tierra y crecidas repentinas de ríos. Las autoridades estadounidenses advirtieron que la combinación de lluvias torrenciales y marejadas podría generar inundaciones catastróficas antes incluso de que el huracán toque tierra en Jamaica, donde se espera su impacto entre la noche del lunes y la madrugada del martes.
Melissa se convierte en huracán categoría 5: Jamaica en alerta y el Ideam advierte efectos sobre Colombia
El primer ministro jamaiquino, Andrew Holness, instó a la población a buscar refugio seguro, mientras el aeropuerto internacional de Kingston permanece cerrado desde el sábado. El gobierno teme que el paso de Melissa sea más devastador que el huracán Gilbert de 1988, que dejó más de 40 muertos en la isla.
Hasta el momento, se reportan cuatro fallecidos en Haití y República Dominicana debido a las fuertes lluvias y deslizamientos de tierra. La alerta roja se mantiene en nueve provincias dominicanas por riesgo de inundaciones y derrumbes, mientras Cuba también se prepara para posibles impactos en su zona oriental.
En cuanto a Colombia, el Instituto de Hidrología, Meteorología y Estudios Ambientales (IDEAM) informó que el sistema ya incide en las condiciones marítimas del Caribe central, generando vientos de hasta 231 km/h y oleajes superiores a los cuatro metros. Estas alteraciones podrían intensificarse en las próximas horas, especialmente en las zonas costeras del litoral norte y centro del Caribe colombiano, así como en las islas Cayos del norte del archipiélago de San Andrés, Providencia y Santa Catalina.
El Sistema Nacional de Gestión del Riesgo de Desastres (SNGRD) mantiene activo el Protocolo Nacional de Alerta y el Plan Nacional de Respuesta, con aviso amarillo para La Guajira, Magdalena, Atlántico, Bolívar y los Cayos del norte, y vigilancia verde en Sucre, Córdoba, Antioquia (Golfo de Urabá) y el resto del archipiélago.
Aunque los modelos actuales del Ideam no prevén un impacto directo sobre el territorio continental colombiano, los expertos advierten que Melissa podría generar mareas altas, oleaje peligroso y fuertes ráfagas de viento que afectarían la navegación marítima, las actividades pesqueras y las infraestructuras costeras.
Melissa es la decimotercera tormenta con nombre de la temporada de huracanes del Atlántico 2025, que se extiende hasta finales de noviembre. Su fuerza inusual y su lenta trayectoria reafirman las alertas sobre el aumento de la intensidad de los ciclones tropicales en el contexto del cambio climático, un fenómeno que preocupa cada vez más a las naciones del Caribe y América Latina.

